Вхід на сайт

Ел. пошта:
Пароль:

Реєстрація на сайті

Призвіще: Область:
Ім'я: Населений пункт:
    По батькові: Номер телефону:
    Ел. пошта: Компанія:
      Пароль: Посада:
      Повторіть пароль: Рік початку роботи:
      Фото:
      З правилами розміщення об'єктів погоджуюсь

      Забули пароль?

      Вкажіть ел. пошту — ми надішлемо Вам новий пароль для входу
      Ел. пошта:

      Проблема на сайті

      Закрити
      Ваш e-mail:
      (необов'язково)
      Розкажіть нам, що сталось

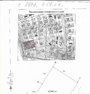
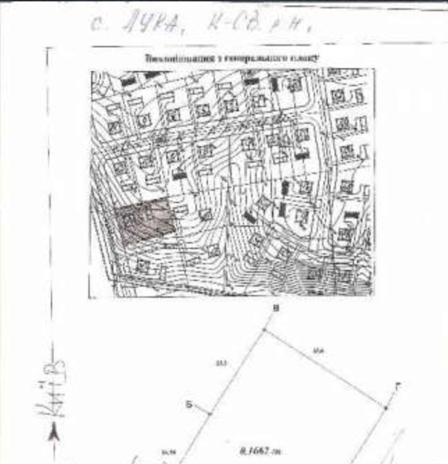
      без комісії ул. Школьная, 14 — Продається ділянка під забудову

      (с. Лука, Киево-Святошинский район)

      1000 $ за сотку

      Площа ділянки: 16 сот

      Продам, сдам в аренду или обменяю ! Очень выгодно! Свой участок 16,5 соток под индивидуальное строительство.
      Киево-Святошинский р-н, Гореницкий с/c, с. Лука, ул. Школьная. Участок 33x50 м, рядом р. Ирпень (пляж), лес, транспорт. До асфальта, остановки транспорта и коммуникаций - 200 м. Угловой, фасадный, с дополнительным заездом. Возможность поделить на 2-3 части ( или более). Перспективное место для жизни и бизнеса( база отдыха/таунхауз/отель и т.п.).Район активно застраивается. Возможна продажа соседнего. Можем продать по маленьким кусочкам ( 5-6соток) Рассмотрим любые предложения !! Торг до победы!

      Надіслати скаргу

      Закрити
      Поскаржитися на об'єкт «ул. Школьная, 14 (с. Лука, Киево-Святошинский район)»
      Ваш коментар:(Необов'язково)
      Ваша скарга буде надіслана ріелтору, що розмістив об'єкт, а також адміністрації сайту АФНУ.
      Ваше ім'я:
      (Обов'язково)
      Ваш e-mail для відповіді:
      (Обов'язково)

      Коментарі